安徽农垦:人工智能 让农业插上科技的翅膀
发布日期:2025-09-25 来源: 浏览次数:5625
2018年9月25日,习近平总书记在黑龙江农垦考察时指出,农业要振兴,就要插上科技的翅膀。安徽农垦牢记殷殷嘱托,聚力推进农业科技创新,近年来更是在智慧农业发展上多点发力,加快人工智能在农业领域的运用。
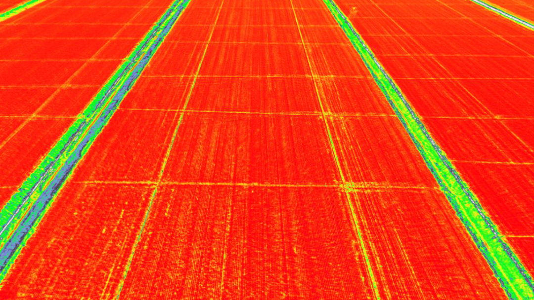
今年9月22日,笔者走进安徽农垦集团数字农业管理平台展示中心,通过大屏幕看到位于怀远县的龙亢农场万亩稻田里,2架巡田无人机正按照规划的航线自主飞行作业。农场技术人员通过低空多光谱无人机传回来的作物长势情况,结合地面的AR鹰眼视频监控,AI能自动识别草情、病虫害,并精准定位到田块坐标。这是安徽农垦智慧农业建设的一个应用场景。

安徽农垦数字农业管理平台
龙亢农场早在2013年就引进了安徽首个农业互联网平台,不到田间就能实时监测小麦病虫害发生情况,然后通过远程操作,可以为小麦施肥、打药……2024年,该场引进智慧糯稻产业集群项目,采用机器人巡田、多光谱的运用,系统集成“慧管”平台。系统中的虫情测报站、孢子捕捉仪、杀虫灯等采集的数据通过传感器传回平台,平台进行 AI 分析、智能识别害虫种类结和数量之后,将指令发布给杀虫灯、无人机等。农技人员经现场确认后,用无人机实现“精准点杀”,可节约农药成本10-20%。

土壤墒情监测站

一体化智慧灌溉闸门
智慧农业的运用,还体现在智慧灌溉方面。龙亢农场技术人员夏琦说:“使用智慧灌溉,可实现细水长流、精准灌溉。”灌溉水田,以龙亢农场为例,通过智慧闸门、智能泵站实现水稻智慧灌溉,可大幅降低用工成本,节约用水30% 以上。灌溉旱田,以夹沟农场为例,通过水肥一体化实现智慧灌溉,通过智能化喷灌机可有效提升玉米单产,节水节肥,每亩产量提升30%,节水20%。

风吸式杀虫灯

孢子捕捉仪
大圹圩农场在农业智能化上也进行了很多探索。在农场的智慧农业云平台集成了多个模块。虫情监测模块,可自动识别稻纵卷叶螟、二化螟、褐尾虱等害虫,并给出每天的数量统计分析。农机作业模块,平台针对无人机和飞手设计了专门的管理系统,根据每次的作业任务生成项目标准和项目范围,飞手在作业前扫描系统生成的二维码就可记录无人机的飞机轨迹、飞行时长、作业面积、平均速度、平均喷幅等信息。此外,每一笔农资的进出,每一类作物的所有农事操作,都一五一十地记录在档。

低空多光谱无人机传回来的图像,可监测作物长势情况。
北斗导航在农机领域的广泛运用,可实现从播种、植保到收割全程精准化作业,抢农时、提质量。大圹圩农场在智能插秧机装上北斗导航系统,让插秧机插上了“慧”飞的翅膀。“过去靠机手经验,容易出现秧行不直、重插漏插的问题。现在有了北斗导航,机手通过北斗导航让自己“看”路,精度达到厘米级。成本大大下降了。”大圹圩农场农业技术员王先政说。
星星之火可以燎原。从昔日部分农场的单个数字农业平台的“慧”种田,到集团层面集成智慧管理平台,安徽农垦近年来对智慧农业进行了一波操作。
安徽农垦数字农业管理平台于2024年6月投建,当年底建成并运行,今年午收夏种得到最广泛运用。该平台通过采用“5+1+3”核心架构体系,打破产业链上下游信息壁垒,实现农业全产业链各环节数字化串联,为现代农业发展注入智慧动能。

田间作物表型巡检机器人,360度无死角看到周围一公里左右的农作物生长情况。
5大核心功能模块,涵盖农业生产、农资集采、农机调度、农业装备管理、农业社会化服务,全面覆盖农业生产耕种管收全产业链环节,有利于精准化管理,提升管理质效;通过1个数据库清洗实现生产数据的集中存储与高效整合,深度挖掘大数据分析价值,为农业生产决策、资源调配提供科学的数据支撑;通过3个专项子平台,即数字种业,农产品销售、金融服务,从而实现农业全产业链各环节数字化串联,为安徽农垦产业协同发展拉动新引擎。
据安徽农垦集团农业部门技术人员介绍,数字农业管理平台,可以借助“空天地人机”数据采集网络和五大核心功能模块,精准把控耕、种、管、收各环节作业质量;还能通过农业大数据中心实现“种、产、销、融”环节协同;并能辅助科学决策,利用农业四情监测系统和各类传感器,形成“数据采集—智能分析—决策执行”的闭环,基于实时数据,为种植方案调整、资源调配提供依据,避免盲目生产,提升农业抗风险能力;更能推动数字化转型,平台将传统农业模式升级为“可感知、可分析、可控制”的智能化模式,为后续规模化、标准化农业发展奠定基础,助力农业现代化水平提升。



